Flora von Nordrhein-Westfalen

Artengruppe Filz-Rose, Filzige Rose - Rosa tomentosa agg. (Rosaceae)

Einheimisch

ähnliche Arten:
Rosa brilonensis
Rosa caesia
Rosa corymbifera
Rosa sherardii
Rosa subcollina
Rosa villosa

 

 

- Rosa pseudoscabriuscula
- Rosa tomentosa


Falsche Filz-Rose, Kratz-Rose - Rosa pseudoscabriuscula (Rosaceae)

Einheimisch

Nach K. Kaplan (in VERBÜCHELN & al. 2021) sind in NRW R. pseudoscabriuscula und R. tomentosa morphologisch nicht zu trennen.

 

Filz-Rose, Filzige Rose - Rosa tomentosa (Rosaceae)

Einheimisch

Bild
Rosa tomentosa
Früchte, 2025 in Oberveischede, Krs. Olpe/NRW (J. Knoblauch, conf. K. Kaplan, © A. Jagel)
Bild
Rosa tomentosa
Früchte, 2025 in Oberveischede, Krs. Olpe/NRW (J. Knoblauch, conf. K. Kaplan, © A. Jagel)
Bild
Rosa tomentosa
Frucht, Griffelkanal, 2025 in Oberveischede, Krs. Olpe/NRW (J. Knoblauch, conf. K. Kaplan, © A. Jagel)
Bild
Rosa tomentosa
Blatt, Oberseite, 2025 in Oberveischede, Krs. Olpe/NRW (J. Knoblauch, conf. K. Kaplan, © A. Jagel)
Bild
Rosa tomentosa
Blatt, Unterseite, 2025 in Oberveischede, Krs. Olpe/NRW (J. Knoblauch, conf. K. Kaplan, © A. Jagel)
Bild
Rosa tomentosa
Blatt, Unterseite, Behaarung, 2025 in Oberveischede, Krs. Olpe/NRW (J. Knoblauch, conf. K. Kaplan, © A. Jagel)
Bild
Rosa tomentosa
Früchte (© H. Geier)
Bild
Rosa tomentosa
Blatt (© H. Geier)
Bild
Rosa tomentosa
Blattstiel, Blattfiedern (© H. Geier)
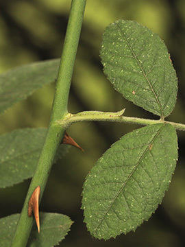
Bild
Rosa tomentosa
Blattfieder, Unterseite (© H. Geier)
Bild
Rosa tomentosa
Spross, Stacheln

Ansprechpartner: Armin Jagel